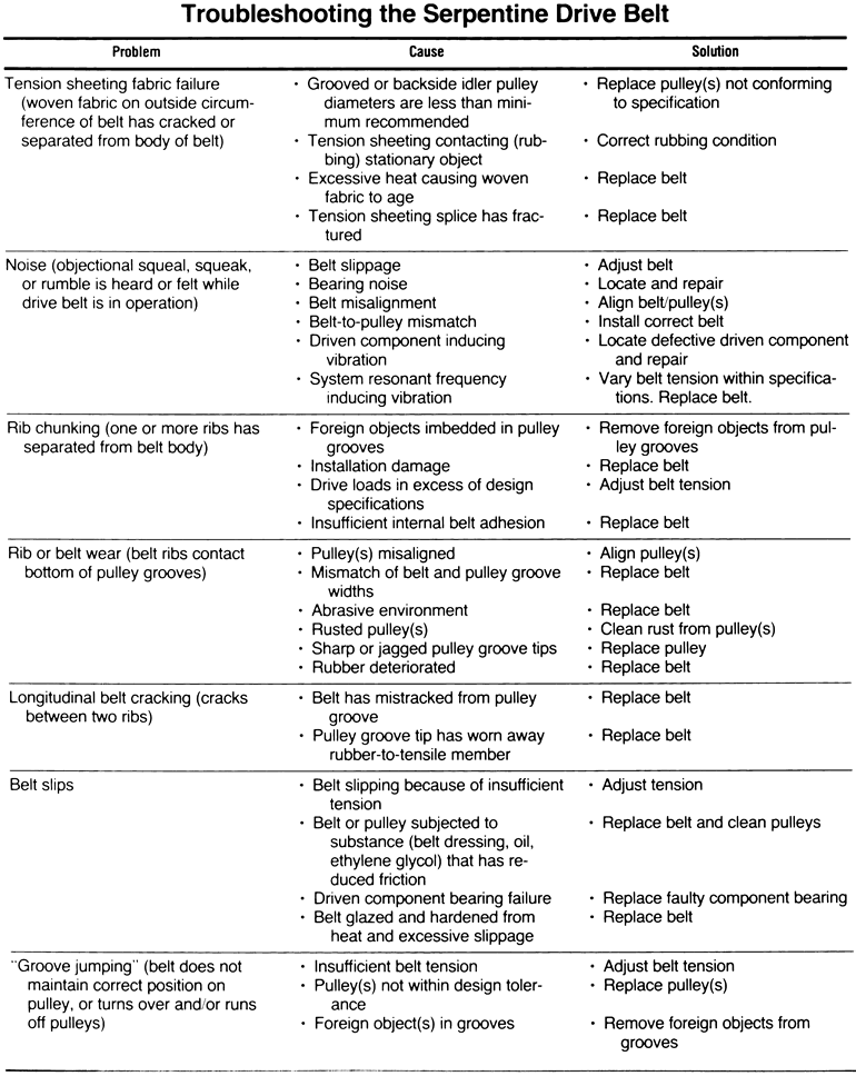
Although many manufacturers recommend that the drive belt(s) be inspected every 30,000 miles (48,000 km) or more, it is really a good idea to check them at least once a year, or at every major fluid change. Whichever interval you choose, the belts should be checked for wear or damage. Obviously, a damaged drive belt can cause problems should it give way while the vehicle is in operation. But, improper length belts (too short or long), as well as excessively worn belts, can also cause problems. Loose accessory drive belts can lead to poor engine cooling and diminished output from the alternator, air conditioning compressor or power steering pump. A belt that is too tight places a severe strain on the driven unit and can wear out bearings quickly.
Serpentine drive belts should be inspected for rib chunking (pieces of the ribs breaking off), severe glazing, frayed cords or other visible damage. Any belt which is missing sections of 2 or more adjacent ribs which are 1⁄2 in. (13mm) or longer must be replaced. You might want to note that serpentine belts do tend to form small cracks across the backing. If the only wear you find is in the form of one or more cracks are across the backing and NOT parallel to the ribs, the belt is still good and does not need to be replaced.
| Fig. 1: Typical wear patterns for a serpentine drive belt |